testtuoitre

Tag: Phillippines

Cựu tổng thống Philippines Duterte đã tới Hà Lan, ICC nói đang giam giữ

Tòa án Hình sự quốc tế (ICC) cho biết cựu tổng thống Philippines Rodrigo Duterte đã bị giao nộp cho tòa án này ngay sau khi máy bay chở ông hạ cánh tại Hà Lan.

Vụ tàu Philippines 'bị bắn vòi rồng' ở Biển Đông: Mỹ, Trung Quốc cùng lên tiếng

Sau khi Philippines tố tàu hải cảnh Trung Quốc bắn vòi rồng vào tàu của nước này trên Biển Đông, Mỹ đã khẳng định sẽ sát cánh cùng Manila.

Những sinh viên Mỹ khuấy động SEA Games

TTO - Thể thao thế giới từ lâu đã quen thuộc với NCCA - hệ thống thể thao sinh viên Mỹ, nơi sản sinh ra những nhà vô địch Olympic như Katie Ledecky, Caeleb Dressel… Và SEA Games 31 cũng sẽ có mặt một số VĐV thuộc NCCA.

Tú Chinh lỡ hẹn SEA Games, kình địch cũng… theo chân

TTO - Một tuần sau khi Lê Tú Chinh chấn thương phải rút lui khỏi SEA Games 31, ứng cử viên số một ở các cự ly tốc độ môn điền kinh là Kristina Knott (người Philippines) cũng gặp vấn đề tương tự.

Biển Đông có thể bão trong 2-3 ngày tới

TTO - Hiện một vùng áp thấp đang hoạt động ở phía đông nam Phillippines, dự báo trong 2-3 ngày tới vùng áp thấp này đi vào Biển Đông, có khả năng mạnh lên thành áp thấp nhiệt đới rồi mạnh lên thành bão.

HLV từng cùng Long An xuống hạng ở V-League dẫn dắt Indonesia

TTO - Chiều 20-12, Liên đoàn bóng đá Indonesia (PSSI) đã bổ nhiệm HLV người Scotland Simon McMenemy dẫn dắt đội tuyển quốc gia nước này.

Trung Quốc thuê quảng cáo nói sai lệch về Biển Đông ngay trên đất Mỹ

TTO -  Điều đáng nói, đoạn video có nội dung tuyên truyền về chủ quyền vô lý của Trung Quốc lại được trình chiếu ngay tại Quảng trường Thời đại của New York, Mỹ.

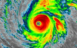
Siêu bão Maysak hướng về miền trung Philippines

TTO - Chính phủ Philippines ngày 1-4 cảnh báo với các công dân và khách du lịch ở vùng duyên hải phía đông nước này rằng siêu bão Maysak dự kiến sẽ đổ đến trong 72 giờ tới.

Nhóm đánh bom nhắm sứ quán Trung Quốc tại Philippines

TTO - Ba người đàn ông bị bắt sau khi đánh bom không thành ở sân bay Ninoy Aquino cũng lên kế hoạch tấn công  đại sứ quán Trung Quốc và những trung tâm thương mại.

Trung Quốc sợ đưa tranh chấp biển Đông ra tòa án quốc tế

TTO - Tạp chí The Diplomat nhận định việc Trung Quốc đưa tài liệu về vụ giàn khoan Hải Dương 981 tới Liên Hiệp Quốc (LHQ) để vu cáo Việt Nam cho thấy Bắc Kinh sợ đưa tranh chấp biển Đông ra tòa án quốc tế.